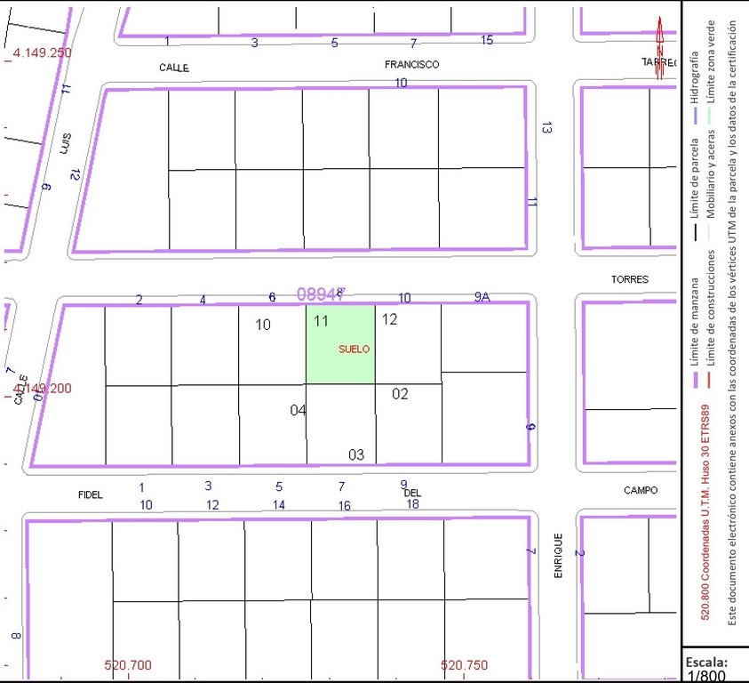
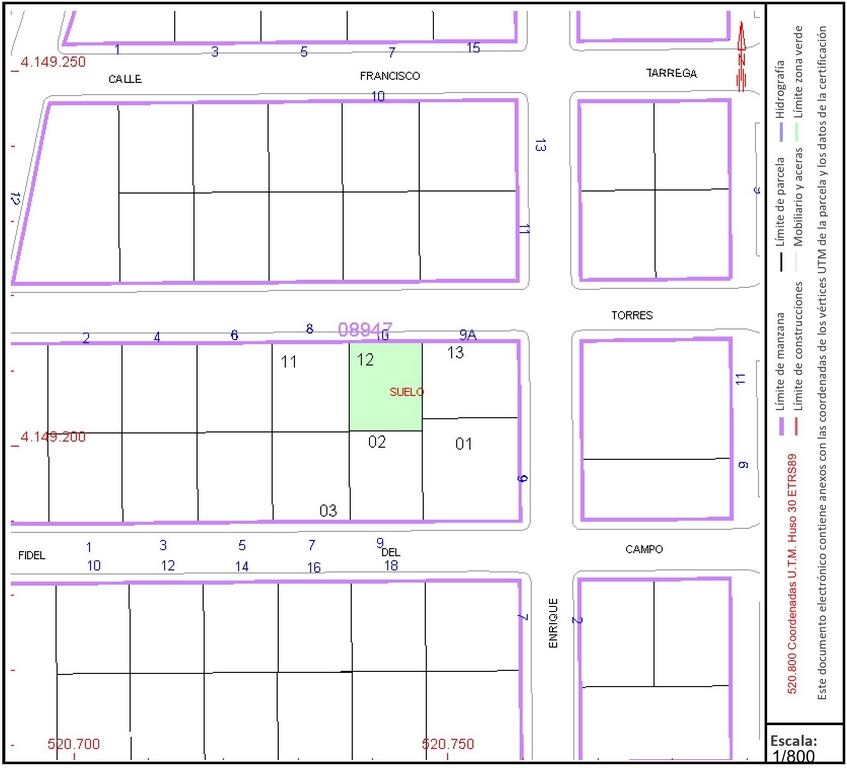
v3116 Parcela en venta € 48.000





Se venden dos solares en Baza (Granada), de unos 120 m2 aproximadamente cada uno, perfectos para construir una vivienda.-------------Precio: 48.000 € cada parcela.---------------Hay dos disponibles.
Si desea realizar una consulta sobre esta propiedad por favor contáctenos y atenderemos su e-mail lo antes posible.
¡Gracias por tu interés!
You are on our new mobile optimised site. If you would like to visit our classic desktop site
|